‘Ketamine Queen’ accused of selling fatal dose to Matthew Perry agrees to plead guilty
By ANDREW DALTON LOS ANGELES (AP) — A woman known as the “Ketamine Queen,” charged with selling Matthew Perry the drug that killed him, agreed...
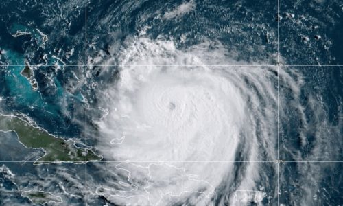
Hurricane Erin forces Outer Banks evacuations
Hurricane Erin forced tourists to cut their vacations short on North Carolina’s Outer Banks even though the monster storm is expected to stay offshore after...
Mayor Wu to respond to feds’ demand to strip sanctuary protections: ‘Boston does not back down to bullies’
Mayor Michelle Wu is planning to defend Boston’s public safety record in response to a Department of Justice letter that put the city on notice...
Ticker: Union says Air Canada flight attendants won’t return to work; Google to pay $36M fine for anticompetitive deals
The union for 10,000 striking Air Canada flight attendants said on Monday they won’t return to work even though the strike, now in its third day, has been...
Mass and Cass drug dealer who allegedly spit at Boston police officers is sentenced to prison
A Mass and Cass drug dealer who has several convictions on his record, including rape and home invasion, has been sentenced to prison. Dorchester man...
Shipley: It’s time for the Twins’ big draft picks to turn it up
There were an announced 80,000 fans or so, combined, at the Twins’ four-game series against the Detroit Tigers at Target Field last weekend and they...
